Estudante de 6 anos morre e causa comoção em Goiás
A morte de Sofia Melissa, 6 anos, estudante de Goianápolis, deixou a comunidade em luto. Escola suspendeu atividades para acolhimento.
A morte de Sofia Melissa, 6 anos, estudante de Goianápolis, deixou a comunidade em luto. Escola suspendeu atividades para acolhimento.
Aeronave transportando ajuda para vítimas do furacão Melissa cai em lago americano. Duas vítimas fatais confirmadas. Autoridades investigam causas do acidente.
A passagem do furacão Melissa pelo Haiti resultou em tragédia humanitária com 43 vítimas fatais confirmadas. Tempestade causa destruição generalizada e deixa população em situação de vulnerabilidade.
Grupo de moradores do Rio Grande do Sul viveu uma semana de tensão durante a passagem do furacão Melissa pela Jamaica. Após o susto, brasileiros contam como foi a experiência e celebram o retorno em segurança.
Um casal de brasileiros enfrenta dias de angústia na Jamaica após o furacão Melissa. Com voos cancelados e comunicação limitada, eles relatam o desespero para voltar ao Brasil enquanto enfrentam falta de recursos e informações.
Morador do Rio Grande do Sul enfrenta situação crítica na Jamaica após passagem do furacão. Sem previsão de retorno ao Brasil, ele descreve cenário de escassez e incerteza.
A tragédia se intensifica no Caribe com o aumento para 50 vítimas fatais do furacão Melissa. Autoridades alertam sobre danos catastróficos e buscam por desaparecidos enquanto comunidades lutam para se recuperar.
Turistas do Rio Grande do Sul enfrentam situação crítica após passagem do furação na Jamaica. Grupo tenta retornar ao Brasil enquanto lida com cancelamentos de voos e infraestrutura local comprometida.
O furacão Melissa causou devastação nos Estados Unidos, com número de mortos subindo para 49 e danos materiais estimados em até US$ 52 bilhões. Tempestade é considerada uma das mais destrutivas da década.
Tempestade tropical causa devastação no Caribe, com dezenas de vítimas fatais e milhares de desabrigados. Saiba os detalhes da tragédia.
O poderoso furacão Melissa causou devastação em várias ilhas do Caribe, com mortes confirmadas e danos generalizados. Autoridades alertam para riscos contínuos.
Pela primeira vez na capital roraimense, o espetáculo 'Hilda Furacão - A Ópera' emociona o público com narrativa poderosa sobre uma das figuras mais emblemáticas de Belo Horizonte. Saiba todos os detalhes!
O poderoso furacão Melissa causou estragos significativos no Caribe e agora avança em direção às Bermudas. Autoridades emitem alertas de emergência enquanto a tempestade mantém sua força no Atlântico.
Especialistas desmentem vídeo que circula nas redes sociais alegando mostrar aeronaves militares dos EUA dentro do furacão. Entenda a origem da falsa informação e os perigos das fake news sobre desastres naturais.
Equipe de pesquisadores experientes registra momento de tensão a bordo de aeronave especializada durante missão científica para estudar fenômeno meteorológico
Uma imagem dramática que circula nas redes sociais supostamente mostrando os estragos do furacão Melissa na Jamaica é falsa. A foto foi gerada por inteligência artificial através do Google. Entenda como identificar conteúdos falsos.
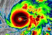
O poderoso furacão Melissa deixou um rastro de destruição na Jamaica com ventos de 215 km/h. Satélites registram a fúria da natureza em imagens impressionantes.
O poderoso furacão Melissa assolou o Caribe com ventos de mais de 200 km/h, causando destruição em múltiplas ilhas e deixando milhares de afetados. Confira o balanço completo dos estragos.
O poderoso furacão Melissa deixou um rastro de destruição no Caribe, com 32 mortes confirmadas e danos materiais generalizados. Saiba os detalhes da tragédia.
O poderoso furacão Melissa causou tragédia no Caribe com 48 vítimas fatais e agora avança sobre Cuba com ventos devastadores. Autoridades emitem alertas de emergência.
Confira os principais acontecimentos desta terça-feira: balanço da operação policial no Rio, furacão Melissa atinge Cuba, acidente com ambulância em SP e mais notícias do dia.
O poderoso furacão Melissa atingiu Cuba com força total, causando destruição generalizada, cortes de energia e evacuções em larga escala. Saiba os detalhes do impacto e as medidas de emergência.
O furacão Melissa entrou para a história como o mais intenso a atingir a Jamaica. Descubra os fatores climáticos por trás dessa tempestade recorde e seus impactos.
O poderoso furacão Melissa chega ao Caribe com categoria 5, causando evacuações em massa e alertas máximos. Saiba tudo sobre essa tempestade histórica que ameaça a Jamaica.
Com a chegada iminente do furacão Melissa, cubanos e estrangeiros se unem em preparativos. Brasileira residente na ilha compartilha detalhes da mobilização coletiva e do espírito de comunidade que toma conta do país.
O poderoso furacão Melissa, classificado como categoria 5, atingiu a Jamaica com ventos de até 260 km/h. Autoridades emitem alerta máximo enquanto população busca abrigo.
O poderoso furacão Melissa atingiu a Jamaica com força catastrófica, deixando um cenário de devastação sem precedentes na história da ilha. Ventos superiores a 200 km/h e chuvas torrenciais causaram destruição massiva.
O furacão Melissa atingiu a Jamaica com força histórica, causando destruição generalizada e tornando-se o pior ciclone a atingir a ilha em décadas. Autoridades confirmam mortes e prejuízos bilionários.
O poderoso furacão Melissa tocou o solo jamaicano com ventos intensos e chuvas torrenciais, causando alerta máximo na região caribenha. Autoridades emitem alertas de emergência enquanto a população se protege do fenômeno climático de grande intensidade.
Equipe de pesquisadores realiza voo audacioso através do furacão Melissa, coletando dados vitais para previsões meteorológicas e segurança pública durante tempestades extremas.